有限会社 藤田工務店

不動産情報

住吉町売地(new)

外観1
 外観1 
外観2
 外観2 
外観3
 外観3 
道路
 道路 
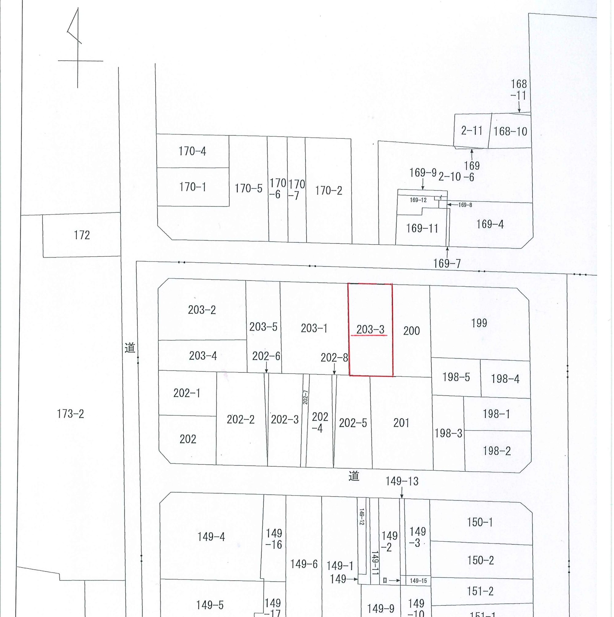
公図2
 公図2 
ギャラリー
ギャラリー
ギャラリー
ギャラリー
ギャラリー
  • 所在地
    能代市住吉町203番3
  • 価格
    4,450,000円
  • 土地面積
    184.03㎡(55.66坪)
  • 学区
    渟城西小学校、能代第一中学校
  • 地目
    宅地
  • 接道状況
    北側 幅員8.0m 9.7m接道
  • 都市計画
    非線引き区域
  • 用途地域
    商業地域・準防火地域
  • 建ペイ率
    80%
  • 容積率
    400%
  • 交通機関
    JR五能線 能代駅より650m(徒歩9分)
  • 取引様態
    一般媒介
  • 備考
    上水道・下水道引込済み

お問い合わせ

新築住宅・リフォームについての
お問い合わせ、その他ご相談・ご要望については、
こちらよりお気軽にお問い合わせください。